麻辣社区-四川第一网络社区

校外培训 高考 中考 择校 房产税 贸易战
阅读: 8455|评论: 22

[趣闻·杂谈] 《[万历]四川总志》序

[复制链接]

发表于 2019-10-29 20:17 | 显示全部楼层 |阅读模式
涓嬭浇 (22).png
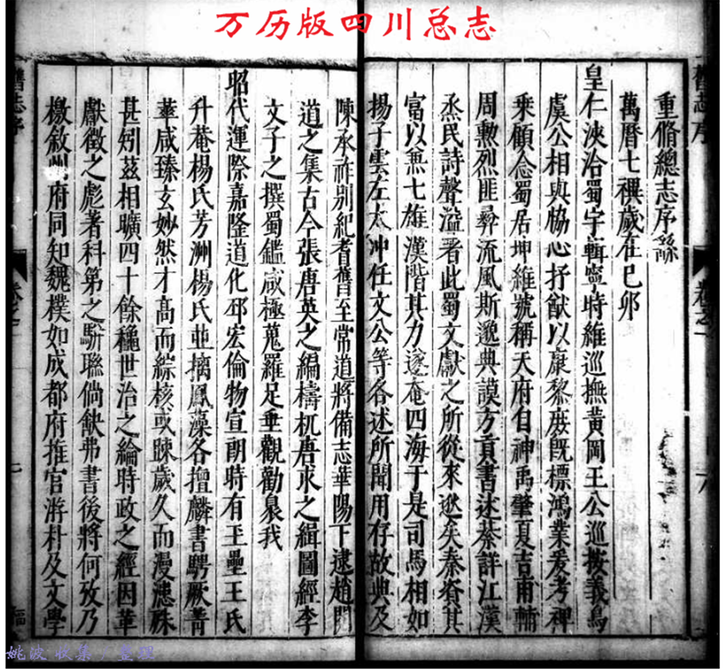
书名        《[万历]四川总志》
作者        明 虞怀忠 等修明郭裴等纂
版本        明万历间刻本
卷数        三十四卷
分类        史部>方志类
涓嬭浇 (23).png
《万历四川总志》

《万历四川总志》·三十四卷(两淮盐政采进本)
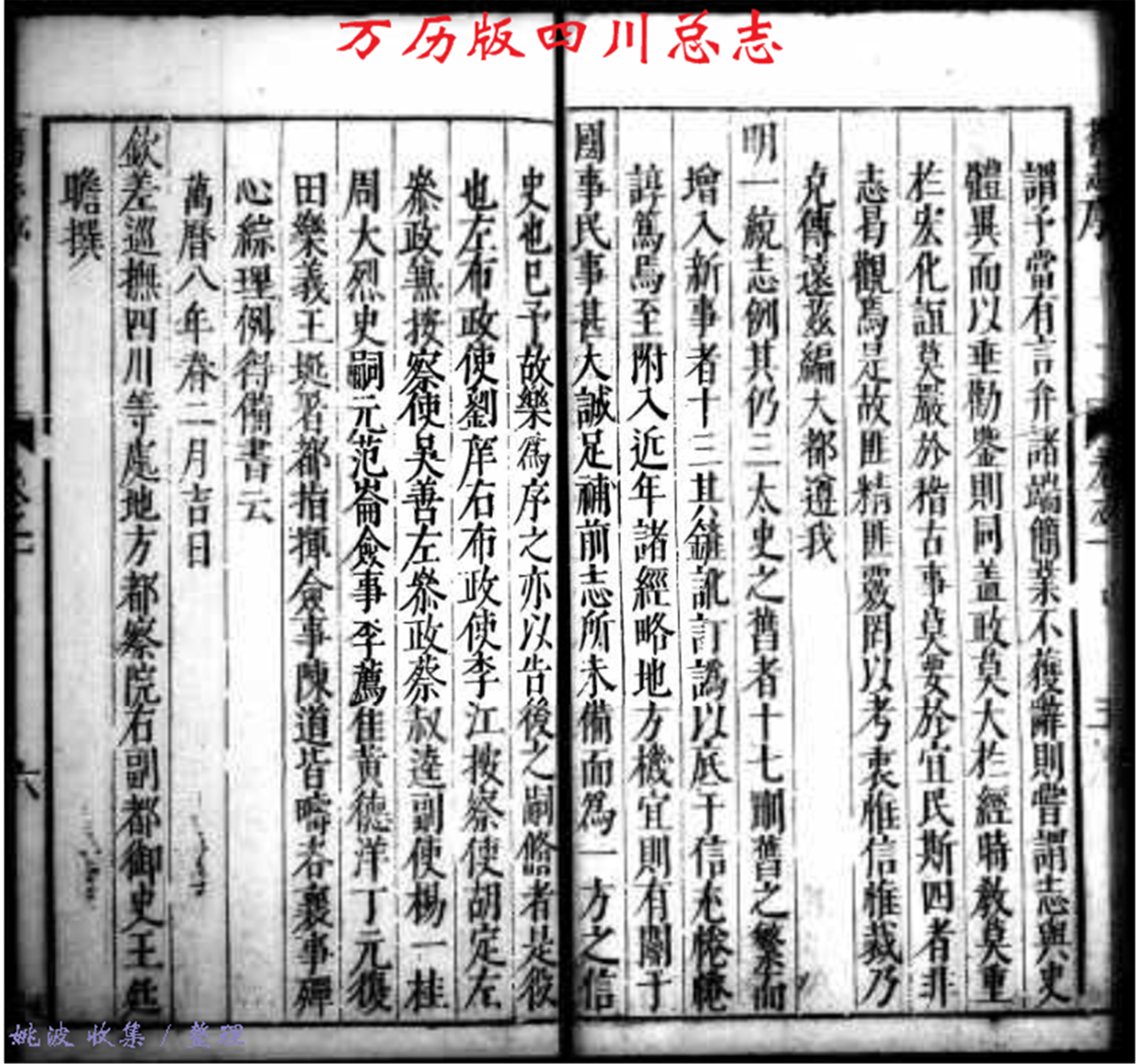
明魏朴如、游朴、童良同撰,提学副使南海郭棐裁正之。朴如题叙州府同知,
良题诸生,皆不知其里贯。朴,福宁人。万历甲戌进士,官成都府推官。是书凡
《省志》四卷,《郡县志》十四卷,《经略志》附以《杂记》,共十四卷,《文》
八卷,《诗》四卷。其书於尹吉甫、商瞿、董永、杨时之类,旧志误收者,颇有
驳正;於赵戒、张商英之类,旧志滥美者,亦颇有简汰。惟《职官》不载守令,
未免疏略。而以先代《帝纪》列於前,亦非舆记之体也。

明万历七年(1579)初,游朴受四川督抚之命,与叙州府同知魏朴如,率同董良遂、戈一龙、刘止、彭师古、杨秉钺、李承雾、彭应元等开志局于濂洛大儒祠,搜摭故实,旁采艺文,日夜辛劳,历五个月而成书。经四川提学副使郭裴裁正,于同年秋修成《万历四川总志》34卷。《四库全书总目》评道:“其书于尹古甫、商瞿、董永、杨时之类,旧志误收者,颇有驳正。于赵戒、张商英之类,旧志溢美者,颇有简汰。惟职官不载守令,未免疏略。而以先代帝纪列于前,亦非舆记之体也。”(见《四库全书总目》第七十四卷、史部、地理类存目三。)万历八年(1580),游朴调任大理寺评事,赴京城上任。


四川志有《正德四川志》、《嘉靖四川总志》、《万历四川总志》(万历九年刻本)、《万历四川总志》(万历四十七年刻本)四种。

打赏

微信扫一扫,转发朋友圈

已有 67 人转发至微信朋友圈

   本贴仅代表作者观点,与麻辣社区立场无关。
   麻辣社区平台所有图文、视频,未经授权禁止转载。
   本贴仅代表作者观点,与麻辣社区立场无关。  麻辣社区平台所有图文、视频,未经授权禁止转载。

 楼主| 发表于 2019-10-29 20:18 | 显示全部楼层
鍥涘窛鎬诲織涓囧巻鐗

 楼主| 发表于 2019-10-29 20:18 | 显示全部楼层
鍥涘窛鎬诲織涓囧巻鐗

 楼主| 发表于 2019-10-29 20:18 | 显示全部楼层
鍥涘窛鎬诲織涓囧巻鐗

 楼主| 发表于 2019-10-29 20:18 | 显示全部楼层
鍥涘窛鎬诲織涓囧巻鐗

 楼主| 发表于 2019-10-29 20:18 | 显示全部楼层
鍥涘窛鎬诲織涓囧巻鐗

 楼主| 发表于 2019-10-29 20:18 | 显示全部楼层
鍥涘窛鎬诲織涓囧巻鐗

 楼主| 发表于 2019-10-29 20:18 | 显示全部楼层
鍥涘窛鎬诲織涓囧巻鐗

 楼主| 发表于 2019-10-29 20:19 | 显示全部楼层
鍥涘窛鎬诲織涓囧巻鐗

 楼主| 发表于 2019-10-29 20:19 | 显示全部楼层
鍥涘窛鎬诲織涓囧巻鐗

 楼主| 发表于 2019-10-29 20:19 | 显示全部楼层
鍥涘窛鎬诲織涓囧巻鐗

 楼主| 发表于 2019-10-29 20:19 | 显示全部楼层
鍥涘窛鎬诲織涓囧巻鐗

 楼主| 发表于 2019-10-29 20:19 | 显示全部楼层
鍥涘窛鎬诲織涓囧巻鐗

 楼主| 发表于 2019-10-29 20:19 | 显示全部楼层
鍥涘窛鎬诲織涓囧巻鐗

 楼主| 发表于 2019-10-29 20:19 | 显示全部楼层
鍥涘窛鎬诲織涓囧巻鐗

 楼主| 发表于 2019-10-29 20:19 | 显示全部楼层
鍥涘窛鎬诲織涓囧巻鐗

 楼主| 发表于 2019-10-29 20:19 | 显示全部楼层
鍥涘窛鎬诲織涓囧巻鐗

 楼主| 发表于 2019-10-29 20:19 | 显示全部楼层
鍥涘窛鎬诲織涓囧巻鐗

 楼主| 发表于 2019-10-29 20:19 | 显示全部楼层
鍥涘窛鎬诲織涓囧巻鐗

 楼主| 发表于 2019-10-29 20:19 | 显示全部楼层
鍥涘窛鎬诲織涓囧巻鐗
高级模式 自动排版
您需要登录后才可以回帖 登录 | 注册

本版积分规则

复制链接 微信分享 快速回复 返回顶部 返回列表 关闭